新庁舎建設について連合審査会が開催

本日は良い天気です。午前10時から総務文教委員会、社会経済委員会連合審査会が市役所3階大会議室で開催。

市役所庁舎建設に関しては総務文教委員会の所管事項ですが、社会経済委員会も審議に加わるための「連合審査会」です。

今日も資料等が公表できないかと思っていましたが、『今後も変更があり得る』との条件を前提に公開可となりました。

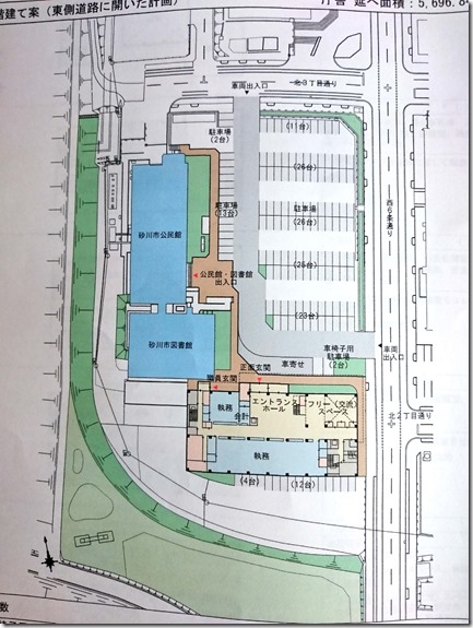
だいぶ全容が見えて来ました。新庁舎は4階建て耐震構造で鉄骨造になります。建設位置はこれまでも報じられていた公民館横の現在、市立病院駐車場です。

新規ドキュメント 2018-05-29 (3)_2

全体の配置は上の写真のようです。

これから平面図(プロット図とも言うそうです)を紹介しますが、先ほども書いたように、今後の変更もあり得ることにご理解ください。

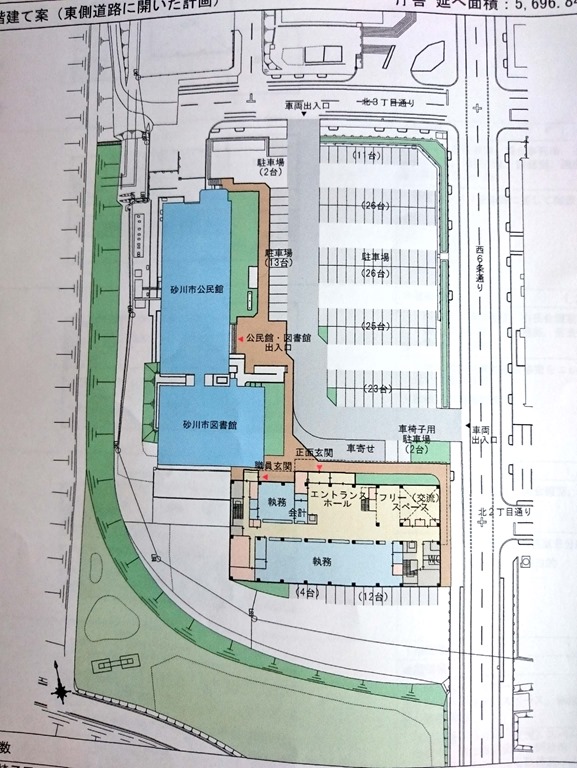
まず1階です。

新規ドキュメント 2018-05-29 (2)_1

なるべく皆さんが窓口に来られた時、楽に手続きができるよう工夫がされていますが、公営住宅や入学などの手続きは2階になります。しかし、今度はエレベーターがあります。

また、「情報発信・フリー(交流)スペース」も配置されています。地域包括支援センターも1階に設置。

新規ドキュメント 2018-05-29 (2)_2(2)

次は2階。執務室や大会議室があり、これまで公民館にあった教育委員会、教育長室も本庁舎です。

続いて3階です。

新規ドキュメント 2018-05-29 (2)_3(2)

3階には市長室、副市長室、総務系の課が中心になっています。

新規ドキュメント 2018-05-29 (3)_1

4階は議会関連が主な階で、3階までよりは床面積が狭くなっています。4階には審議会でもご意見が出ていた「展望ラウンジ」が計画されました。

なお、議会の委員会室は3分割できるようになり、本会議の開催中は答弁者(市長、部長クラス)の控室や課長クラスの控室も兼用されます。

新庁舎建設に向けての今後のスケジュールは、本日、議員が審議した点など、さらに検討が加えられます。そして、工事費の積算なども含め7月末までに基本設計案が出来上がります。

その後、市民説明会、パブリックコメントの募集などを経て、平成31年5月末までに実施設計が完成。工事の着工と進む予定です。

引き続き、議会としても新庁舎建設に関することは総務文教委員会の所管事項で審議され、社会経済委員は一般質問も可能です。

次第に目に見えてくる新庁舎の姿。皆さんが感じられたこと、ご意見などがございましたらお聞かせください。

取り急ぎ連合審査会の報告でした。